LHPW Pusztaszer West Repülőtér
Utolsó frissítés: 2025.02.20.
1. A repülőtér azonosítása
- ICAO azonosítója
- LHPW
- A repülőtér neve
- Pusztaszer West Repülőtér
- A repülőtér helységneve
- Pusztaszer
2. Elérhetőség
- Cím
- 6769 Pusztaszer, Tanya 32
- Telefon
- +36-20/943-7190
- pusztaszerairport@gmail.com
3. Galéria
Teljes képernyő
Teljes
képernyő bezárása

Teljes képernyő
Teljes
képernyő bezárása

Teljes képernyő
Teljes
képernyő bezárása
Teljes képernyő
Teljes
képernyő bezárása
Teljes képernyő
Teljes
képernyő bezárása

Teljes képernyő
Teljes
képernyő bezárása

Teljes képernyő
Teljes
képernyő bezárása

Teljes képernyő
Teljes
képernyő bezárása

5. A repülőtér földrajzi és adminisztratív adatai
A vonatkoztatási pont (ARP) adatai
- Koordinátája
- 463248N 0195736E
- Helye a repülőtéren
- A 36-4413-as számú geodéziai pontban
A repülőtér elhelyezkedése
- Távolsága a településtől (KM)
- Pusztaszer 2 KM
- Iránya a településtől
- 260°
- Tengerszint feletti magassága
- 288 FT
A mágneses eltérés adatai
- A mágneses eltérés mértéke ( °)
- 5°45' K
- A mágneses eltérés éves változása ( °)
- +0°08'
- A mágneses eltérés felmérésének éve
- 2024
A repülőtér üzembentartójának adatai
- Neve
- Papp Tibor
- Címe
- 6769 Pusztaszer, Rákóczi utca 55.
- Telefon
- +36-20/943-7190
- Fax
- NIL
- Web
- NIL
- pusztaszerairport@gmail.com
A repülőtér adatai
- Címe
- 6769 Pusztaszer, Tanya 32
- Telefon
- +36-20/943-7190 (Papp Tibor)
- Fax
- NIL
- Web
- NIL
- pusztaszerairport@gmail.com
- AFS
- NIL
- SITA
- NIL
- Egyéb
- NIL
- A repülőtéren engedélyezett forgalom típusa
- VFR
- Megjegyzés
-
Nem közforgalmú, Nem nyilvános, Csak előzetes egyeztetés alapján.Az ARP helye megegyezik a 36-4413-as számú állandó geodéziai ponttal, amely a pálya középvonalától nyugatra 4 méterre, 15-ös küszöbtől 156 méterre található. A talajszinttel teljesen egy síkban van, a repülést egyáltalán nem befolyásolja.
Polgári célú Speciális repülőtér
6. A repülőtéren szolgáltatást nyújtó légiforgalmi szolgálatok
Megnevezése
|
Hívójele
|
Frekvencia
|
A kommunikáció során használható nyelvek
|
Üzemideje
|
Megjegyzés
|
---|---|---|---|---|---|
NIL | NIL | NIL | NIL | NIL | NIL |
7. A repülőtéri szolgálatok rendelkezésre állása és üzemideje
- A repülőtér nyitvatartása
- Napkeltétől napnyugtáig VFR repülésre alkalmas körülmények között
- Vám és határőrség
- NIL
- Orvosi ellátás
- NIL
- AIS tájékoztatás
- NIL
- ATS jelentés (ARO)
- NIL
- Meteorológiai tájékoztatás
- NIL
- ATS
- NIL
- Tankolás
- NIL
- Földi kiszolgálás
- NIL
- Őrzés-védelem
- NIL
- Jégtelenítés
- NIL
- Megjegyzés
- NIL
8. Rendelkezésre álló földi kiszolgáló eszközök
- Rakomány kezelési lehetőségek, eszközök (cargo)
- NIL
- Üzemanyagfajták
- NIL
- Olajfajták
- NIL
- Üzemanyagtöltő eszközök és kapacitásuk
- NIL
- Jégtelenítési eszközök
- NIL
- Tárolási lehetőségek, hangár kapacitása
- A légi járművek nyűgözése az előtér szélvédett részén történhet.
- Javító eszközök, javítási lehetőségek
- NiIL
- Megjegyzés
- NIL
9. Utasellátás
- Szállás
- Szérűskert Vendégház Pusztaszer, a reptér mellett
- Étterem
- Étterem Kisteleken
- Közlekedés
- Busz (megálló a Pusztaszeri (4518-as számú) bekötő úton, ill. az 5-ös úton)
- Orvosi ellátás
- Körzeti orvos Pusztaszer, ill.Orvosi Rendelőintézet Kistelek
- Bank és Posta
- Posta Pusztaszeren
- Turisztikai információ
- NIL
- Megjegyzés
- NIL
10. Rendelkezésre álló mentő és tűzoltó szolgálatok
- A repülőtér tűzoltó kategóriája
- A 85/2024 (IV.17) Korm. rendelet 3. mellékletében meghatározott 1-es kategória.
- Rendelkezésre álló mentő és tűzoltó szolgálatok
- NIL
- Mentő és tűzoltó felszerelések, eszközök
- A 85/2024 (IV. 17) Korm. rendelet 3. mellékletének 1. kategóriájához tartozó tűzoltóeszközök és felszerelések
- Képesség sérült, mozgásképtelen repülőgépek mozgatására
- NIL
- Megjegyzés
- NIL
11. Futópálya hóeltakarítási terv
- Futópálya hóeltakarító eszközök típusa
- NIL
- Hóeltakarítási sorrend
- NIL
- Megjegyzés
- A repülőtér csak hómentes napokon üzemel.
12. Előterek
Jelölése
|
Felülete
|
Teherbírása
|
Megjegyzés
|
---|---|---|---|
NIL | Fű | 10 t (5,7 t) | A kiszolgáló létesítmény és a 32-es küszöb közötti sík felület, mely jelölés nélküli, azonosítóval nem rendelkezik |
13. Gurulóutak
Jelölése
|
Felülete
|
Teherbírása
|
Szélessége (M)
|
Megjegyzés
|
---|---|---|---|---|
NIL | NIL | NIL | NIL | Nincsenek gurulóutak kialakítva |
14. Ellenőrző pontok
Ellenőrző helyek és pontok adatai
- Földrajzi adatai
- NIL
- Műszaki jellemzői
- NIL
- VOR ellenőrző pont
- NIL
- INS ellenőrző pont
- NIL
- Megjegyzés
- NIL
15. Gurulási eligazító rendszer és jelölések
- Légijármű állóhely azonosító jelölések, gurulóút jelzések és parkolás jelző rendszerek
- NIL
- RWY, TWY jelölések és fényrendszerek
- RWY küszöb és szegély jelek
- Megállító keresztfénysorok
- NIL
- Megjegyzés
- A repülőtér összes berendezése /kiszolgáló, tájékoztatást adó fehér ponyva jelei, (küszöb jel, szegély jel, szélzsák stb.) nem állandóak, csak a repülések időtartamára kerülnek kihelyezésre.
16. Futópályák (RWY)
RWY azonosítója
|
Földrajzi iránya ( °)
|
Mágneses iránya ( °)
|
Hosszúsága (M)
|
Szélessége (M)
|
Teherbírása
|
Felülete
|
Megjegyzés
|
---|---|---|---|---|---|---|---|
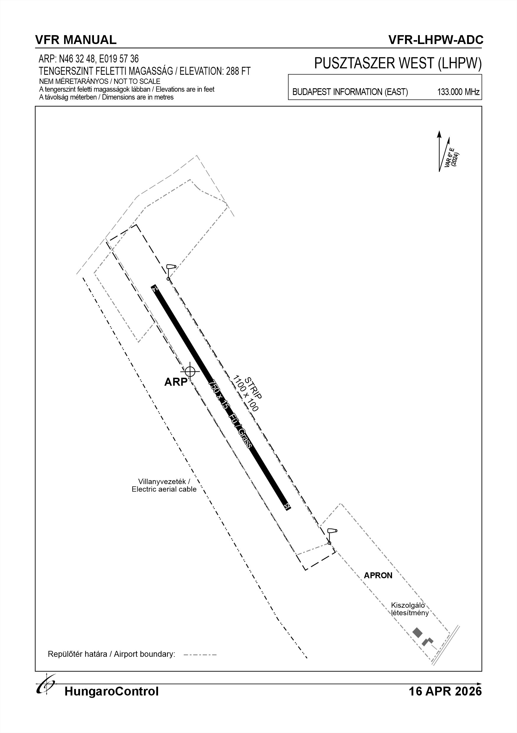
14 | 147° | 141° | 750 | 15 | 10 t (5,7 t) | Fű |
A repülőtér környezetvédelmi szempontból korlátozott légtér közelében van, /Alsó- Tisza- völgy, amely egész évben aktív GND-1500' (450m)/ ezért Északi és Keleti irányban a repülőteret csak ennek figyelembevételével lehet elhagyni. A forgalmi köröket (a ki- és besorolást) ennek megfelelően kell felépíteni a SERA szabályainak betartásával. Szintén a közelben helyezkedik el a Szeged TIZ 2 légtér, amelybe berepüléskor be kell jelentkezni a 122.81 MHz -es frekvencián. |
32 | 327° | 321° | 750 | 15 | 10 t (5,7 t) | Fű |
A repülőtér környezetvédelmi szempontból korlátozott légtér közelében van, /Alsó- Tisza- völgy, amely egész évben aktív GND-1500' (450m)/ ezért Északi és Keleti irányban a repülőteret csak ennek figyelembevételével lehet elhagyni. A forgalmi köröket (a ki- és besorolást) ennek megfelelően kell felépíteni a SERA szabályainak betartásával. Szintén a közelben helyezkedik el a Szeged TIZ 2 légtér, amelybe berepüléskor be kell jelentkezni a 122.81 MHz -es frekvencián. |
17. Repülőtéri akadályok
RWY azonosítója
|
Akadály típusa
|
Tengerszint feletti magassága
|
Földfelszíntól mért magassága
|
Koordinátája
|
Megjegyzés
|
---|---|---|---|---|---|
14 | Antennatorony | NIL | 30 M | 463206.36N 0195806.28E | Kivilágítatlan |
14 | Erdő | NIL | 15 M | NIL | Felszálló irányon |
32 | Erdő | NIL | 30 M | NIL | Felszálló irányon |
32 | Erdő | NIL | 30 M | NIL | A repülőtértől keleti irányban |
32 | Antennatorony | NIL | 30 M | 463206.36N 0195806.28E | Kivilágítatlan |
18. A futópályához kapcsolódó biztonsági megállási területek (SWY)
RWY azonosítója
|
Hosszúsága (M)
|
Szélessége (M)
|
Teherbírása
|
Felülete
|
Lejtése (%)
|
Megjegyzés
|
---|---|---|---|---|---|---|
14 | NIL | NIL | NIL | NIL | NIL | NIL |
32 | NIL | NIL | NIL | NIL | NIL | NIL |
19. A futópályához kapcsolódó felszállási biztonsági területek (CWY)
RWY azonosítója
|
Hosszúsága (M)
|
Szélessége (M)
|
Lejtése (%)
|
Megjegyzés
|
---|---|---|---|---|
14 | NIL | NIL | NIL | NIL |
32 | NIL | NIL | NIL | NIL |
20. A futópályához kapcsolódó futópályasávok (STRIP)
RWY azonosítója
|
Hosszúsága (M)
|
Szélessége (M)
|
Megjegyzés
|
---|---|---|---|
14 | 1100 | 100 | NIL |
32 | 1100 | 100 | NIL |
21. A futópályához kapcsolódó biztonsági sávok (RESA)
RWY azonosítója
|
Hosszúsága (M)
|
Szélessége (M)
|
Felülete
|
Akadálymentes terület (OFZ)
|
Megjegyzés
|
---|---|---|---|---|---|
14 | 300 | 45 | NIL | NIL | NIL |
32 | 400 | 45 | NIL | NIL | NIL |
22. A futópálya közzétett távolságai
RWY azonosítója
|
TORA (M)
|
TODA (M)
|
ASDA (M)
|
LDA (M)
|
Megjegyzés
|
---|---|---|---|---|---|
14 | 750 | 750 | 750 | 750 | NIL |
32 | 750 | 750 | 750 | 750 | NIL |
23. Bevezető fényrendszerek
RWY azonosítója
|
Típusa
|
Hosszúsága (M)
|
Intenzitása
|
Megjegyzés
|
---|---|---|---|---|
14 | NIL | NIL | NIL | NIL |
32 | NIL | NIL | NIL | NIL |
24. Futópálya küszöbfények
RWY azonosítója
|
Színe
|
Keresztfénysor
|
Megjegyzés
|
---|---|---|---|
14 | NIL | NIL | NIL |
32 | NIL | NIL | NIL |
25. Optikai siklópályarendszer fényei
RWY azonosítója
|
Típusa
|
Adatai
|
Megjegyzés
|
---|---|---|---|
14 | NIL | NIL | NIL |
32 | NIL | NIL | NIL |
26. Futópálya földetérési zóna fényei
RWY azonosítója
|
Fényeinek hosszúsága (M)
|
Megjegyzés
|
---|---|---|
14 | NIL | NIL |
32 | NIL | NIL |
27. Futópálya középvonal fényei
RWY azonosítója
|
Hosszúsága (M)
|
Lámpatestek közötti távolság (M)
|
Színe
|
Intenzitása
|
Megjegyzés
|
---|---|---|---|---|---|
14 | NIL | NIL | NIL | NIL | NIL |
32 | NIL | NIL | NIL | NIL | NIL |
28. Futópálya szegélyfények
RWY azonosítója
|
Hosszúsága (M)
|
Lámpatestek közötti távolság (M)
|
Színe
|
Intenzitása
|
Megjegyzés
|
---|---|---|---|---|---|
14 | NIL | NIL | NIL | NIL | NIL |
32 | NIL | NIL | NIL | NIL | NIL |
29. Futópálya végfények
RWY azonosítója
|
Színe
|
Megjegyzés
|
---|---|---|
14 | NIL | NIL |
32 | NIL | NIL |
30. Futópálya szárnyfénysorok
RWY azonosítója
|
Színe
|
Megjegyzés
|
---|---|---|
14 | NIL | NIL |
32 | NIL | NIL |
31. Biztonsági megállási terület (SWY) fényei
RWY azonosítója
|
Fényeinek hosszúsága (M)
|
Fényeinek színe
|
Megjegyzés
|
---|---|---|---|
14 | NIL | NIL | NIL |
32 | NIL | NIL | NIL |
32. Egyéb fények, tartalék áramforrások
- ABN/IBN helye, jellemzői és üzemideje
- NIL
- Leszállási irányjelző helye és megvilágítása
- NIL
- Szélmérő helye és megvilágítása
- NIL
- Gurulóút középvonal fényei
- NIL
- Gurulóút szegély fényei
- NIL
- Tartalék áramellátás
- NIL
- Átváltási idő
- NIL
- Megjegyzés
- NIL
33. Helikopter leszálló pálya
- TLOF vagy FATO THR koordinátái
- NIL
- TLOF és vagy FATO tengerszint feletti magassága
- NIL
- TLOF és FATO terület jelölése
- NIL
- TLOF és FATO terület méretei (M)
- NIL
- TLOF és FATO terület felülete
- NIL
- TLOF és FATO terület teherbírása
- NIL
- FATO Földrajzi iránya
- NIL
- FATO mágneses iránya
- NIL
- Deklarált távolságok
- NIL
- APP és FATO fényei
- NIL
- Megjegyzés
- NIL
34. Meteorológiai információs szolgálat
- Kiszolgáló meteorológiai hivatal
- HungaroMet Magyar Meteorológiai Szolgáltató Nonprofit Zrt. (HungaroMet Zrt.), Repülésmeteorológiai Osztály
- Üzemidő
- H24
- TAF készítéséért felelős hivatal
- HungaroMet Magyar Meteorológiai Szolgáltató Nonprofit Zrt. (HungaroMet Zrt.), Repülésmeteorológiai Osztály
- TAF érvényességi időszak
- NIL
- TAF kiadási időtartama
- NIL
- Leszállási előrejelzés típusa
- NIL
- Leszállási előrejelzés kiadási időtartama
- NIL
- Biztosított eligazítás/konzultáció
- Írásbeli eligazítás: https://aviation.met.hu;Konzultáció telefonon: +36-90/603-424;Konzultáció e-mailben: rvo@met.hu;
- Repülési dokumentáció
- Térképek, rövidített nyílt nyelvű szöveg
- Repülési dokumentáció nyelve
- HU, EN
- Térképek és egyéb információk eligazításhoz és konzultációhoz
- Térképek, repülőtéri jelentések és előrejelzések EUR régióban, terület-előrejelzések, MET. megfigyelések és figyelmeztetések a budapesti FIR-ben
- Tájékoztatások nyújtására rendelkezésre álló kiegészítő berendezések
- Önálló felkészülés az aviation.met.hu weboldalon keresztül
- Tájékoztatást biztosító ATS egység
- Budapest FIC (kérésre)
- Megjegyzés
- NIL
35. A repülőtéren kijelölt légterek
- Megnevezése
- NIL
- Oldalhatárai
- NIL
- Felső és alsó határai (FT)
- NIL
- A légtér osztálya
- NIL
- ATS szolgálat hívójele
- NIL
- A kommunikáció során használható nyelvek
- NIL
- Átváltási magasság (FT)
- NIL
- Megjegyzés
- NIL
37. Repülőtéri szabályok
A repülőtér környezetvédelmi szempontból korlátozott légtér közelében van, /Alsó- Tisza- völgy, amely egész évben aktív GND-1500' (450m)/ ezért Északi és Keleti irányban a repülőteret csak ennek figyelembevételével lehet elhagyni. A forgalmi köröket, illetve a ki- és besorolást ennek megfelelően kell felépíteni a SERA szabályainak betartásával. Szintén a közelben helyezkedik el a Szeged TIZ 2 légtér amelybe berepüléskor be kell jelentkezni a 122.81 MHz -es frekvencián.
A repülőtérről fel és leszállni merevszárnyú repülőgépekkel csak a 32-es vagy 14-es pályáról (pályára) szabad. Leszállás után a futópályán megfordulni, azon visszagurulni csak különös figyelemmel a le- és felszálló forgalom zavarása nélkül szabad.
További információk az aktuálsi Repülőtér Rendben.
A repülőtérről fel és leszállni merevszárnyú repülőgépekkel csak a 32-es vagy 14-es pályáról (pályára) szabad. Leszállás után a futópályán megfordulni, azon visszagurulni csak különös figyelemmel a le- és felszálló forgalom zavarása nélkül szabad.
További információk az aktuálsi Repülőtér Rendben.
A repülőtéren végezhető tevékenységek (Igen / Nem)
- Pilóta nélküli (D - Unmanned aerial vehicle)
- Igen
- Ballon (B - Balloon)
- Igen
- Ultra könnyű (U - Ultralight)
- Igen
- Sárkány (N - Hang glider)
- Igen
- Rövid kifutású (R - Short take-off and landing)
- Igen
- Szárazföldi (L - Landplane)
- Igen
- Siklóernyő (P - Paraglider)
- Igen
- Vitorlázó (E - Glider)
- Igen
- Kétéltű (A - Amphibian)
- Igen
- Helikopter (H - Helicopter)
- Igen
- Gyrokopter (G - Gyrocopter)
- Igen
- Billenő rotoros (T - Tilt-wing aircraft)
- Igen
- Egyéb (O - Other)
- Igen
38. Zajcsökkentő intézkedések
A lakott területek zajvédelme és zajcsökkentése érdekében, a motoros illetve segédmotoros légijárművek lehetőleg a lakott-települési résszel ellentétes irányú iskolakört használják. A repülőtér elhelyezkedése lehetővé teszi a falu felőli iskolakör végrehajtását is. Ebben az esetben azt úgy kell felépíteni, hogy a „hosszú fal” a lakott rész és a repülőtér közötti részre kerüljön. Bár a repülőtér környezetében nincs lakott rész, ennek ellenére a földi zaj csökkentése érdekében a motorral szerelt légijárművek esetében a járatás csak a szükséges ideig tarthat.
39. Repülőtéri díjak
NIL
40. További információk
További információk az aktuális Repülőtér Rendben.